(Última actualización: 26/11/2021)
Revit nos ofrece una serie de herramientas que nos van a permitir referenciar y ubicar todos los elementos del modelo. Vamos a ver aquí, pues, cuáles son y cómo se utilizan las coordenadas de posición en Revit.
Aparte de los niveles, rejillas y planos de referencia, que nos van a permitir crear restricciones y dependencias espaciales entre los diferentes objetos del modelo, Revit nos da además, la posibilidad de referenciar todo el conjunto a partir de tres orígenes.
Vamos a hacer una pequeña introducción de cada uno de ellos y, a continuación, veremos un caso práctico sobre un proyecto realizado recientemente.
Orígenes de referencia en Revit
En Revit existen tres puntos u orígenes de referencia:
Punto interno
Definición
Podemos entender este punto como el origen a partir del cual se referencian inicialmente todos los elementos en Revit. (Desde la versión de Revit 2020.1 se puede visualizar este origen en el área gráfica representado por 3 ejes cartesianos. La gestión de visibilidad de este punto se realiza desde el panel de Visibilidad/gráficos de cada vista) Los otros dos puntos de referencia (punto base y de reconocimiento) se sitúan originalmente coincidiendo en el espacio con el punto interno.
| Representación del punto interno en Revit. a partir de la versión 2020.1 |
Este punto es el que utiliza Revit para ubicar el modelo cartográficamente a partir de una longitud y latitud. Para ello tenemos una herramienta específica que nos conecta con Google maps para facilitarnos esta labor, desde donde podemos especificar directamente la longitud y latitud de la ubicación o incluso introducir una dirección concreta de cualquier ciudad del mundo.
| Herramienta de ubicación. |
Usos del punto interno
Esta ubicación va a ser decisiva para cuestiones como el análisis solar del proyecto. En su configuración interna, Revit nos permite conocer cual es el recorrido solar para cualquier ubicación del planeta, lo que nos va a facilitar el análisis de las sombras propias y las arrojadas de los edificios colindantes. También esta ubicación nos va a permitir extraer datos climáticos basados en estaciones meteorológicas cercanas a esa posición.
![]() |
| Ubicación en algún lugar de Madrid. |
Hay una consideración importante y es que Revit tiene en cuenta la curvatura de la tierra. Por ello, se recomienda no alejarnos más allá de 16 km de este centro para evitar imprecisiones. Es aconsejable desarrollar el modelo siempre próximo al punto interno.
![]() |
| Curvatura de la Tierra. |
Estas consideraciones rara vez van a ser relevantes en proyectos de edificación pero sí, desde luego, en proyectos de ingeniería civil de gran extensión y especialmente en obra lineales.
Cuando vinculamos a nuestro proyecto referencias externas (.rvt, .dwg, .ifc, etc.), una de las opciones que nos ofrece Revit es hacer coincidir los puntos internos del archivo anfitrión con el archivo vinculado. Es por ello importante que conozcamos este punto y que lo tengamos siempre presente con vistas a la coordinación entre disciplinas de nuestro modelo.
Punto de reconocimiento (SP)
![]() |
| Punto de reconocimiento. Ejes X, Y, Z |
![]() |
| Visibilidad de Punto de reconocimiento. |
El punto de reconocimiento va a representar el origen absoluto (0,0,0) de nuestro modelo. Su posición va a ser una decisión de proyecto y siempre va a depender de los datos facilitados por un topógrafo o ingeniero civil. Entre otras cosas, es el punto que va a determinar las elevaciones de los elementos del proyecto con respecto al nivel del mar. Es decir, la cota 0 del eje Z va a coincidir siempre con el nivel del mar.
También vamos a poder georreferenciar nuestro proyecto con respecto al sistema de coordenadas universal U.T.M. tal y como explicamos en esta entrada.
Posición del punto de reconocimiento en planta
En cuanto a la posición de este punto en planta (X,Y) lo vamos a hacer coincidir con algún elemento reconocible del entorno de proyecto, como puede ser un vértice de la línea de propiedad, un mojón o cualquier elemento físico del entorno. En cualquier caso, esta ubicación del origen absoluto va a depender de los datos de partida, normalmente un archivo de CAD en el que se representa la topografía.
![]() |
Topografía CAD. Fuente : Bibliocad.com. |
Gestión del punto de reconocimiento
La herramienta que vamos a utilizar para determinar la posición del punto de reconocimiento sobre una referencia conocida se encuentra dentro de la pestaña gestionar, grupo ubicación de proyecto, herramienta coordenadas, especificar coordenadas en punto.
Para reubicar el punto de reconocimiento respecto a su posición original en una nueva posición, tenemos que asegurarnos que se encuentre bloqueado (en Revit, clipado) o que sus coordenadas se muestren siempre con el valor 0 no editable.
![]() |
| Posición original del punto de reconocimiento coincidiendo con el punto interno. Fuente- Elaboración propia. |
![]() |
| Posición modificada del punto de reconocimiento sobre una referencia conocida. Fuente- Elaboración propia. |
En realidad, aunque realicemos esta acción con el punto de reconocimiento sin clipar, el punto se va a desplazar a su nueva ubicación igualmente. Lo que sucede en este caso es que la representación del mismo permanece en el mismo lugar como un lector de coordenadas. Para llevarnos definitivamente el punto a su nueva posición tendríamos que asignar un valor 0 a sus coordenadas X e Y.
La orientación del proyecto se determina a través del parámetro de vista Orientación, teniendo como valores posibles Norte real y Norte de proyecto.
![]() |
| Orientación Norte de proyecto. Fuente- Elaboración propia. |
![]() |
| Orientación Norte real. Fuente- Elaboración propia. |
Traslado del punto de reconocimiento a otros archivos vinculados
Para trasladar el punto de reconocimiento a otros archivos vinculados lo vamos a hacer normalmente desde el archivo de entorno o topografía, que es donde normalmente se va a definir el origen absoluto del proyecto.
Para ello debemos traernos las referencias externas .rvt como vínculo y con la herramienta publicar coordenadas seleccionar el archivo vinculado que automáticamente adquiere las coordenadas del archivo anfitrión.
Topografía
También es posible crear diferentes posiciones respecto al punto de reconocimiento. Esta opción va a ser importante cuando trabajemos con proyectos tipo campus en los que existen varias edificaciones que tienen diferentes ubicaciones en la parcela. En estos casos igualmente cada uno de los proyectos va a compartir el mismo origen de referencia pero cada uno de ellos va a tener su propia posición.
![]() |
| Parámetro de ejemplar del vínculo en el que se especifica su posición respecto al punto de reconocimiento. |
![]() |
| Diferentes posiciones creadas en un proyecto. Fuente- Elaboración propia. |
Punto base (BP)
Podemos entender el punto base, en ingles Base Point, como un origen relativo del proyecto. Este punto se sitúa siempre con respecto al punto de reconocimiento. Es una referencia que se suele utilizar especialmente en edificación y que nos permite establecer un nivel relativo a partir del cual referenciar los elementos del modelo.
![]() |
| Marcado de niveles relativos en obra. |
Coordenadas absolutas
Bien es cierto que en obras de ingeniería civil o en obras de arquitectura de grandes dimensiones y complejas normalmente las referencias se van a dar siempre en coordenadas absolutas. Y desde luego, si hay un topógrafo permanentemente en obra siempre se trabajará con coordenadas absolutas.
![]() |
| Topógrafos replanteando. Fuente: AJT Topógrafos |
Las coordenadas del punto base siempre van a informar de su posición X,Y, Z con respecto al punto de reconocimiento. Igualmente, si la orientación del Norte real y el del Norte de proyecto no coinciden, el eje Y del punto base siempre va a estar orientado al Norte de proyecto.
Al igual que con el punto de reconocimiento, acompañando al punto base hay un clip. Pues bien, si el clip esta tachado (desclipado) lo podemos mover libremente sin que esta acción afecte a la posición del modelo. La consecuencia de mover el punto base desclipado es que se actualizarán las etiquetas de elevación (Z) y de coordenadas (X,Y) que estén referidas a este punto. Por el contrario, si el clip está sin tachar (clipado) si desplazamos el punto base movemos el conjunto del modelo con respecto al punto de reconocimiento.
Coordenadas compartidas
Cuando trabajamos con vínculos o referencia externas, hay que tener en cuenta que el punto base es específico de cada archivo o proyecto. Al trabajar por coordenadas compartidas, todos los archivos vinculados van a compartir el mismo origen absoluto. En este escenario, el punto base nos va a ser de gran utilidad si queremos desplazar el conjunto de un proyecto (por ejemplo el vínculo de la estructura o de arquitectura) con respecto al origen absoluto o punto de reconocimiento.
Esta acción se puede realizar desde el archivo anfitrión con el punto base clipado. Por ejemplo, corregir la elevación del modelo, modificar su posición en planta y también corregir la orientación del Norte de proyecto.
![]() |
| Desplazamiento del archivo vinculado con respecto al archivo anfitrión del terreno. Fuente- Elaboración propia. |
Esta acción se puede realizar también directamente sobre el archivo vinculado en el archivo anfitrión y guardando su posición.
Reubicar la posición del conjunto del edificio
Etiquetado de curvas de nivel
Ejemplo práctico
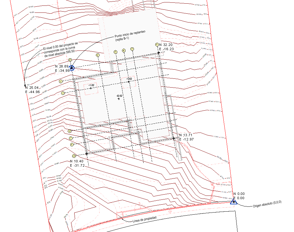
A partir del CAD proporcionado por el topógrafo se estableció situar el punto de reconocimiento en uno de los vértices de la propiedad o parcela.
También se determinó en este archivo cuál iba a ser la posición del norte de proyecto con respecto al norte real.
![]() |
| Inserción del vinculo de estructura en el archivo del terreno. |
Para el establecimiento de niveles de excavación se trabajó a partir de la referencia del punto base, cuya posición también se traslado a obra con facilidad.
Estos puntos fueron de especial utilidad para el replanteo del saneamiento, previamente modelado y en el que estaban perfectamente definidas las pendientes de cada uno de los sistemas y los fondos de las arquetas.
![]() |
| Niveles de fondos de arquetas |
Trabajar con referencias absolutas también nos permitió crear vistas en las que se informaba de cuáles eran los puntos mas elevados de los medios auxiliares utilizados en obra, como la grúa torre o grúas telescópicas. Esta exigencia venía por parte de organismos de gestión de trafico aéreo que solicitaban esta documentación en valores absolutos.
![]() |
| Justificación de alturas máximas con elevaciones absolutas. |
Resumen. Recomendaciones generales
Para saber más
- Archivos BIM coordinados y en coordenadas (1/2), por Luisa Santamaría. Blog Especialista 3D, 01/10/2018.
- Punto base del proyecto y punto de reconocimiento. Centro de ayuda de Autodesk: http://help.autodesk.com/view/RVTLT/2018/ESP/?guid=GUID-68611F67-ED48-4659-9C3B-59C5024CE5F2
- Coordinadas compartidas, vídeo de Revitor en MundoBIM.com, https://www.youtube.com/watch?v=gu1Rlej0tW4
- Revit. Colocar el punto de reconocimiento, vídeo de Yolanda López https://www.youtube.com/watch?v=4NADKpB5UfM
- José Manuel Zaragoza y Miguel Morea (2016), Guía práctica implantación BIM en despachos de arquitectura e ingeniería, Fe d’Erratas, 2ª ed.
- David Barco (2018), Guía para implementar y gestionar proyectos BIM: Diario de un BIM Manager.

































Muy interesante e importante. Gracias.